Übersichtsplan

Vorhabenbezogener Bebauungsplan Nr. 1 mit dargestelltem Änderungsbereich

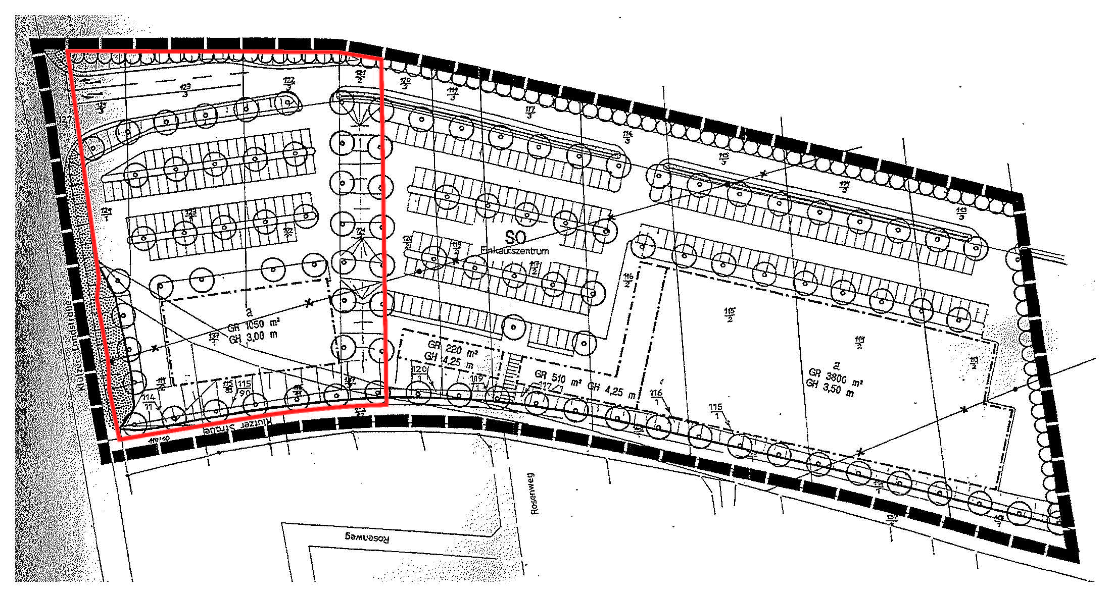
Vorhaben- und Erschließungsplan

Planzeichnung

zurück zur Übersicht

Stadt Grevesmühlen, Vorhabenbezogener Bebauungsplan Nr. 1, 1. Änderung

Auftraggeber
ILG Einkaufszentrum Grevesmühlen - Klützer Straße GmbH & Co. HG

Verfahren
2017 - 2018

Anlass und Ziel der Planung

Auf der Grundlage der Satzung über den Vorhaben- und Erschließungsplan (VEP) Nr. 1 für das Gebiet in Grevesmühlen, am nördlichen Ortsrand zwischen der Klützer Landstraße, der Straße zur LPG und der Klützer Straße vom 19.11.1991, wurde Anfang der 1990er Jahre am nördlichen Stadtrand von Grevesmühlen ein siedlungsstruktureller und städtebaulich randständiger Verbundstandort mit Schwerpunkt im Lebensmittelangebot errichtet. Die Firma Norma ist seit dem 01.05.1993 (25 ½ Jahre) wirtschaftlich erfolgreich am Standort in Grevesmühlen vertreten. Das in die Jahre gekommene Objekt ist mit erheblichen baulich-energetischen Schwächen behaftet und die Filiale wird mit einer Verkaufsfläche von 657 qm nicht mehr den mittlerweile vorherrschenden Anforderungen an eine Lebensmitteldiscountfiliale gerecht. Den aktuellen und künftigen Kundenwünschen an einen modernen Discounter kann deshalb nur durch eine Neupositionierung am Standort entsprochen werden. Die Realisierung des geplanten Vorhabens erfordert die Änderung des Bebauungsplans.

 

Werkblatt

Planzeichnung und Begründung 

Planungsbezogener Zeitungsartikel